こんなお悩みありませんか?
- 疲れていたり、ストレスがたまるとニキビができやすくなる
- 毎日メイクで隠していたニキビ・ニキビ跡から解放されたい
- 気づいたらまた同じ場所にニキビが出来ている
- ニキビによる色素沈着が増えてきた
あなたのニキビの種類は?
ハートライフ式
ニキビ・ニキビ跡の
根本を断ち切る治療
ハートライフクリニックではニキビを繰り返さない、
健康な肌に戻す治療を徹底しています。
ケミカルピーリング
古い角質の蓄積による皮脂の詰まりを解消!
ニキビ肌改善に大切なターンオーバーを正常化させ、繰り返しニキビ、ニキビ跡を除去します。
ダウンタイムなしでできるため、ニキビ・ニキビ跡治療が初めての方や何からスタートしたら良いか分からない方におすすめの治療です。
ハートライフ式
ケアシス(エレクトロポレーション)
ハートライフのエレクトロポレーション(ケアシス)治療は、一般的な美肌成分を導入させるアクシダーム治療の2倍の時間と量を使用し、更に効果を実感できるよう追及しています。
ハートライフなら
どんなニキビでも
根本解決が目指せます!
累計64,000 件以上の
臨床経験からなる美肌治療!
64,000件以上の臨床経験から、“今あるニキビ”
だけでなく、お肌の内側から治療を行う美肌治療に
力を入れてまいりました。
重度なニキビも根本から治療し、健康なお肌へと 導きます。
納得いくまでカウンセリング!
最適な治療プランをご提案
ハートライフクリニックでは、おひとりお一人に 合った治療を行うため、皆様がご納得いくまで カウンセリングを行います。 当院では、1時間~2時間ほどカウンセリングを行う方も 多く、一緒にお肌に向き合いながら 治療プランを決めていきます。
治療結果を可視化・数値化!
最新肌診断機でお肌の
内側まで分析します!
治療のお肌の経過について、最新肌診断機を使用することで患者さまにもわかりやすいように経過状況を見える化いたします。
精密分析を基に状態の説明や治療方針についてを都度ご提案させていただきます。
アフターケア
の徹底!
治療後のケアまで寄り添います。
ニキビ肌を卒業するためにはホームケアが不可欠です。 間違ったケアをしてしまうとニキビは悪化してしまいます。
そこで、ハートライフクリニックでは、肌診断機の結果肌質にあったスキンケアの方法などの細かなアドバイスも行っております。
中等症ニキビ①:
片顔に赤ニキビ・黄ニキビが
6個以上〜20個以下ある
Before
After
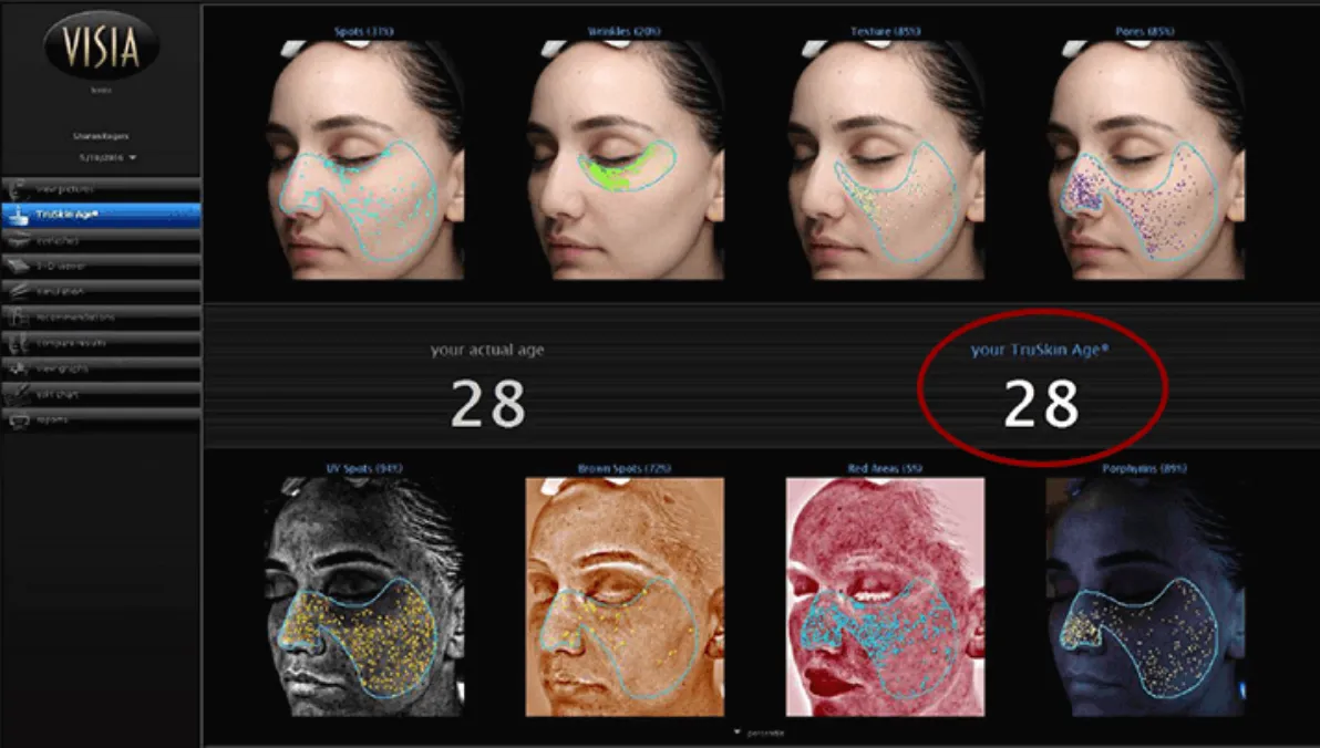
<VISIA肌診断>
Before
After
ニキビを悪化させるポルフィリンの減少具合を表したVISIAの症例写真
- ケミカルピーリング 3回
- ケアシス 6回
- イソトレチノイン 6ヶ月分
中等症ニキビ②:
片顔に赤ニキビ・黄ニキビが
6個以上〜20個以下ある
Before
After
<VISIA肌診断>
Before
After
ニキビを悪化させるポルフィリンの減少具合を表したVISIAの症例写真
- ケミカルピーリング 8回
- ケアシス 8回
- エピデュオ 5本
- イソトレチ 5カ月
重症ニキビ:
片顔に赤ニキビ・黄ニキビが
21個以上~50個以下ある
Before
After
<VISIA肌診断>
Before
After
ニキビを悪化させるポルフィリンの減少具合を表したVISIAの症例写真
- ケミカルピーリング 6回
- ケアシス 10回
- ライムライト 3回
- 内服薬 12ヶ月分
ニキビ跡:
炎症として赤みが残っているもの、
色素沈着しているもの、
クレーターのように凹んでいるもの
Before
After
<VISIA肌診断>
Before
After
ニキビを悪化させるポルフィリンの減少具合を表したVISIAの症例写真
- ケミカルピーリング 8回
- ケアシス 11回
- ダーマペン 11回
- 内服薬
- 外用薬
充実したアフターケア
施術するのは当たり前です!
当院では、最新肌診断機・充実のアフターケアで
最後まできっちりケアを行っていきます!
- 1
- 2
- 3
- 4
よくあるご質問
保険適用の皮膚科はあくまで「今あるニキビを治す」ことを目的としておりますため、ニキビを根本から治療したい!ニキビ跡をきれいにしたい!などのご希望がある際は美容皮膚科がおすすめです。
施術後は紫外線や摩擦など、お肌に負荷がかかるものは避けるようにしてください。
ハートライフクリニックでは、術後のケア方法も合わせてお伝えさせていただきますのでご安心ください。
1回の治療で改善を実感する方もいらっしゃいますが、1回でニキビを完治させることは難しい場合が多いです。
ハートライフクリニックでは、内服薬・外用薬を処方して治療をする際は「3ヶ月の抗菌薬による集中治療」を徹底しております。
耐性菌に邪魔されない期間での集中治療で、結果と効率を重視した治療を行っておりますので、ぜひ一度ご自身のニキビがどのような状態か、最適な治療が何かをご相談ください!
近年、性別を問わずお肌の悩みに対して関心を持つ方が多くなっております。ハートライフクリニックでも男性の患者さまは多く、4人に1人が男性の患者さまという割合です。
男性のニキビの特徴などもありますため、ぜひ一度カウンセリングでご自身のお肌と向き合ってみてください!
アクセス
| 診療時間 | 月 | 火 | 水 | 木 | 金 | 土 | 日 |
|---|---|---|---|---|---|---|---|
| 10:00 | 18:00 |
○ | ○ | ○ | ○ | ○ | ○ | ○ |
最終受付17:00
休診日:なし(年末年始は除く)
静岡県浜松市中央区鍛冶町1-35中村企画ビル2階
・JR浜松駅北口徒歩3分
・新浜松駅徒歩1分


